20.16. 伽利略卫星1¶
伽利略卫星
|旅行者蒙太奇的全球观木星-木卫一,木卫二,木卫三和木卫四。|
旅行者号和伽利略号宇宙飞船收集到的有关这四个卫星外壳密度和性质的数据,允许对每个卫星的内部进行一般模型研究。木卫一(左上)、木卫二(右上)、木卫三(左下)都有核;木卫四可能有一个小的核,但其内部被认为主要是水冰加岩石(大部分未分化)。
最里面的卫星,木卫一,距离木星中心约42.2万公里(262231英里)。它的直径约为3630公里(2256英里),略大于地球的卫星。伽利略电视摄像机拍摄的这三个视图描绘了IO的不同部分:
伽利略电视摄像机拍摄的这三个视图描绘了IO的不同部分:
19-54: What common planetary feature seems to be absent on Io? Venture a guess as to what may be the dominant process acting on this satellite. `ANSWER <answers.html#19-54>`__
IO显示出突出的橙色,带有黑色斑驳区域(这让人想起了一个有橄榄的大比萨饼)。它很可能是所有卫星中最引人注目的一颗,因为地表正在经历不断的动态变化,主要是通过火山作用。天文地质学家将IO评为“太阳系中地质活动最活跃的行星体”。他们的意思是,它正在经历更多的火山爆发,就其规模而言,任何这样的机构(至少有16个火山是活跃的已被发现);除了地球,它是唯一的其他物体与活火山喷出热熔岩。虽然爱奥尼亚表面的温度通常为-140°C,但温度高达1200°C的热点证明了火山活动区域。在地质学上,木卫一的表面还很年轻(没有发现撞击坑),不断地经历着火山作用的“重生”。
一张旅行者1号的图片震惊了JPL的科学家,因为它捕捉到了爱奥尼亚火山喷发的一个主要的羽流,然后将物质抛到离其表面300公里(186英里)的地方。
|自然色旅行者1号图片,从一个爱奥尼亚火山的喷发中获得一个主要的羽流,沿着地平线清晰可见。|
其他的火山爆发是在飞越过程中被“捕捉到”的,这意味着,伴随着年轻的地表沉积物的迹象,由于它的尺寸IO比地球更具有火山活动性。伽利略电视摄像机捕捉到一个名为普罗米修斯的火山正在发生的大喷发,如这两幅图所示:
19-55: Look at the Prometheus images. How does this eruption differ from the usual big ones (typically from stratovolcanoes) on Earth? `ANSWER <answers.html#19-55>`__
通过对比旅行者1979年(左图)和伽利略1997年(右图)拍摄的普罗米修斯的图像,可以看出几个明显的主要变化:
另一个火山,火山口泥,是在它向四面八方排放了几百公里的硫磺熔岩、火山灰和气体,形成了一个心形的晕矿床(所以:亚:“2”霜),命名为Matuike Patera(火山场)。
我们已经确定了几十个火山爆发点,但许多可能是不活跃的。在观察期间,至少有30起事件发生在一个或多个事件中。火山沉积物占据了整个爱奥尼亚表面,有些是流动的,另一些可能是碎片状的。我们可以在火山口找到很多。这是伽利略对爱奥尼亚表面典型部分的看法:
火山遗址可以在几年内进行重大修改,这一系列图片显示了过去18年中从旅行者1号(右上)到伽利略(右下)围绕被称为Ra Patera(左上)的火山杂岩所拍摄的照片:
|从旅行者到伽利略的一系列图片显示了被称为拉帕特拉的火山杂岩的形状变化。|
19-56: In general terms, describe the changes at Ra Patera. `ANSWER <answers.html#19-56>`__
爱奥尼亚火山中没有一座看起来像是在地球火圈中观测到的雄伟的火山峰那样高的层锥。在一些明显的浮雕中,爱奥尼亚火山更像是陆上盾形火山,许多火山口很宽。血凝素是一个例子:
火山物质很可能是硅酸盐,与大量(天然的?)混合。硫和硫化合物。这些化合物可以解释IO的橙色、黄色和黑色,它们是该元素的典型颜色。已观察到富硫湖泊。二氧化硫构成了稀薄的大气。
在木卫一上发生这种(完全出乎意料的)活动的原因是一个被称为“潮汐泵送”的过程,在这个过程中,卫星的外部弯曲并伸展到木星和其他卫星拖拽它的100米(328英尺)。作用在IO上的潮汐能会引起加热,而拉伸会使其摆动。
最近,伽利略发回的证据表明,有一个铁心的半径大约是整个卫星的一半(约900公里)。它可能产生一个小磁场,与木星引起的强磁场相互作用。IO也可能有电离层。它被氢、钠、钾和离子化硫(由离子表面溅射而成)组成的蒸气云所包围,这些气体云被拉长,在其母行星周围形成一个环面。在木卫一和木星之间的磁通管可以产生1000万安培的电流。流动。
我们的下一颗卫星是木卫二(直径为3140公里(1951英里),距木星671000公里(416959英里)。以下是伽利略的图像:
|从旅行者到伽利略的一系列图片显示了被称为拉帕特拉的火山杂岩的形状变化。|
它让一些观众想起了一个随着年龄而破裂的巨大“提示球”。左视图是自然色图像。右边是一幅假彩色图像,它是通过将紫色带投射到蓝色,绿色带投射到绿色,红外带投射到红色。
19-57: What Earthly object with which you may be familiar does Europa remind you of (hint: think of a game you play indoors)? `ANSWER <answers.html#19-57>`__
旅行者近距离观察,表面非常光滑,几乎没有标记(最小
|彩色航海家欧罗巴的特写照片,显示了一个光滑的表面,很少有标记。|
火山口)除了一组明显的深棕色“裂缝”外,这些裂缝将地壳分为多边形部分。这些裂缝仅略高或略低(<300 m [984英尺] )比表面看起来像是水冰的主要表面还要高,水冰可能会在某个深度覆盖冰水或纯净水“海洋”,然后再变成冰和岩石材料。接下来是伽利略对这个表面的观察。
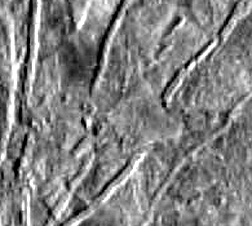
在这个更高的分辨率下,我们可以看到几级(尺寸不连续性)压裂。有些是明显的曲线型(在快速冷却的液体中很常见,例如用来制造硅酸盐玻璃的液体)。黑色物质的碎片散落在里面。欧罗巴,
一些内部岩石材料可能与冰混合。这些线性断裂的起源是不确定的。科学家们将这些断裂与地球上的极地海冰进行比较,后者在水流使其弯曲时,会因张力而出现裂缝或“引线”。这些裂缝然后再排练。由压缩形成的脊线是另一种选择。
19-58: On what basis can you conclude that Europa's surface is relatively young? `ANSWER <answers.html#19-58>`__
当伽利略靠近(586公里)时,它对这一点有了更多的了解。 [364英里] ,1997年2月20日。上面的图片显示了密集的平行裂缝,在不同的方向,由一个高脊分开,在其中心分叉。底部是“冰筏”,高出周围的冰。
这些似乎是一层薄薄的冰层(带引线)的破裂,在这层冰层中,木筏可以自由移动,更多的证据支持下面的液态水体。“海洋”和冻结的外壳的含义,使一些科学家推测,在这种液体中,条件可能有利于原始生命。这一假设激起了人们对进一步接近欧洲的强烈兴趣,欧洲的规划者们计划在继续的伽利略观测中进行观测。官员们正在考虑下个世纪的新任务,特别是寻找更多的生命迹象。
最近的观察进一步揭示了木卫二地形的多样性。下面的场景覆盖了7公里乘4公里(4.3英里乘2.5英里)的区域,显示了一个被称为康纳马拉混沌区的小板块和楔子的混乱。这张1997年12月16日的图片显示了大块的冰,可能是由一团冰糊状物相互结合在一起的,其中包括几个高达250米(820英尺)的山丘。注意顶部的单平面划线板。左边是一个直的裂缝,直径近400米(1312英尺)。
最近,欧罗巴的研究人员提出了“冰火山”的可能性,即粘性冰(可能有一些水)从喷口喷出,像冰川一样在表面流动。伽利略对这类流动进行了成像,如图中所示,流动(在中心)延伸到大裂缝上。









